Hi There! Is this Your First Time?
Did you know if you Register you have access to free search tools including the ability to save listings and property searches? Did you know that you can bypass the search altogether and have listings sent directly to your email address? Check out our how-to page for more info.
- Price$11,000
- Acres0.45
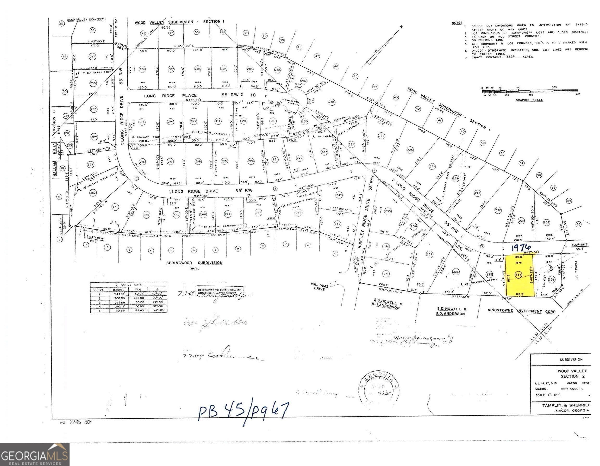
1976 Long Ridge Drive, Macon
Time to invest in your own piece of Real Estate! This approximately 1/2 acre lot is conveniently located on the Northeast of Macon. Convenient to Macon & Gray Highway. 4 residential lots available in the same area. Similar size and package price for all 4 or individually surveyed.
Essential Information
- MLS® #20177112
- Price$11,000
- Bathrooms0.00
- Acres0.45
- TypeLand
- Sub-TypeResidential Lot
- StatusActive
Amenities
- UtilitiesCable Available, Electricity Available, High Speed Internet, Natural Gas Available, Other, Sewer Available
- ViewCity
School Information
- ElementaryMartin Luther King Jr
- MiddleAppling
- HighNortheast
Listing Details
- Listing Provided Courtesy Of Fickling & Company Inc.
Community Information
- Address1976 Long Ridge Drive
- SubdivisionWood Valley
- CityMacon
- CountyBibb
- StateGA
- Zip Code31211
Exterior
- Lot DescriptionLevel, Open Lot
Additional Information
- Days on Market587
Price Change History for 1976 Long Ridge Drive, Macon, GA (MLS® #20177112)
| Date | Details | Price | Change |
|---|---|---|---|
| Active | – | – | |
| Price Change | – | – | |
| Price Reduced | $11,000 | $500 (4.35%) | |
| Active | – | – | |
| Price Change | – | – | |
| Show More (8) | |||
| Price Reduced | $11,500 | $1,000 (8.00%) | |
| Active | – | – | |
| Price Change | – | – | |
| Price Reduced | $12,500 | $500 (3.85%) | |
| Active | – | – | |
| Price Change | – | – | |
| Price Reduced (from $14,000) | $13,000 | $1,000 (7.14%) | |
| Active (from New) | – | – | |
The data relating to real estate for sale on this web site comes in part from the Broker Reciprocity Program of Georgia MLS. Real estate listings held by brokerage firms other than Go Realty Of Georgia & Alabam are marked with the Broker Reciprocity logo and detailed information about them includes the name of the listing brokers.
The information being provided is for consumers' personal, non-commercial use and may not be used for any purpose other than to identify prospective properties consumers may be interested in purchasing. Information Deemed Reliable But Not Guaranteed.
The broker providing this data believes it to be correct, but advises interested parties to confirm them before relying on them in a purchase decision.
Copyright 2025 Georgia MLS. All rights reserved.
Listing information last updated on December 26th, 2025 at 11:15pm CST.


