Hi There! Is this Your First Time?
Did you know if you Register you have access to free search tools including the ability to save listings and property searches? Did you know that you can bypass the search altogether and have listings sent directly to your email address? Check out our how-to page for more info.
- Price$675,000
- Acres18.32
49 Iron Mountain Road Nw, Adairsville
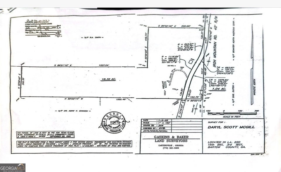
Discover an exceptional opportunity at 49 Iron Mountain Rd, Adairsville, GA, a highly desirable parcel zoned R-1, perfect for residential development. This stunning 18.32-acre property offers ample opportunity without heavy woodland. Builders will love the potential this property offers for creating beautiful new homes in a fast-growing area. With a fence post already in place, it's primed for your next venture, be it a small neighborhood development or a family homestead. Conveniently located near a main road, it provides easy access to local amenities, schools, and downtown Adairsville while maintaining a peaceful setting ideal for a new neighborhood. We've included the plans that the previous developer created, which were never executed, but can give you a great idea of how the project can be designed and developed. For more details on utilities, zoning, and related information, please refer to the private remarks and contact the City of Adairsville directly using the numbers provided. The seller is very motivated to sell. Please call or email with any questions.
Essential Information
- MLS® #10571212
- Price$675,000
- Bathrooms0.00
- Acres18.32
- TypeLand
- Sub-TypeAgriculture
- StatusActive
Amenities
- UtilitiesCable Available, Electricity Available, Natural Gas Available, Phone Available, Underground Utilities, Water Available
- WaterfrontPrivate
School Information
- ElementaryAdairsville
- MiddleAdairsville
- HighAdairsville
Listing Details
- Listing Provided Courtesy Of Realty Of America
Community Information
- Address49 Iron Mountain Road Nw
- SubdivisionNone
- CityAdairsville
- CountyBartow
- StateGA
- Zip Code30103
Exterior
- Lot DescriptionPrivate, Sloped
Additional Information
- Days on Market107
Price Change History for 49 Iron Mountain Road Nw, Adairsville, GA (MLS® #10571212)
| Date | Details | Price | Change |
|---|---|---|---|
| Active (from New) | – | – |
The data relating to real estate for sale on this web site comes in part from the Broker Reciprocity Program of Georgia MLS. Real estate listings held by brokerage firms other than Go Realty Of Georgia & Alabam are marked with the Broker Reciprocity logo and detailed information about them includes the name of the listing brokers.
The information being provided is for consumers' personal, non-commercial use and may not be used for any purpose other than to identify prospective properties consumers may be interested in purchasing. Information Deemed Reliable But Not Guaranteed.
The broker providing this data believes it to be correct, but advises interested parties to confirm them before relying on them in a purchase decision.
Copyright 2025 Georgia MLS. All rights reserved.
Listing information last updated on December 5th, 2025 at 1:31pm CST.

















